0
Retour
Découvrir le
bien en photos

Lantic (22410)
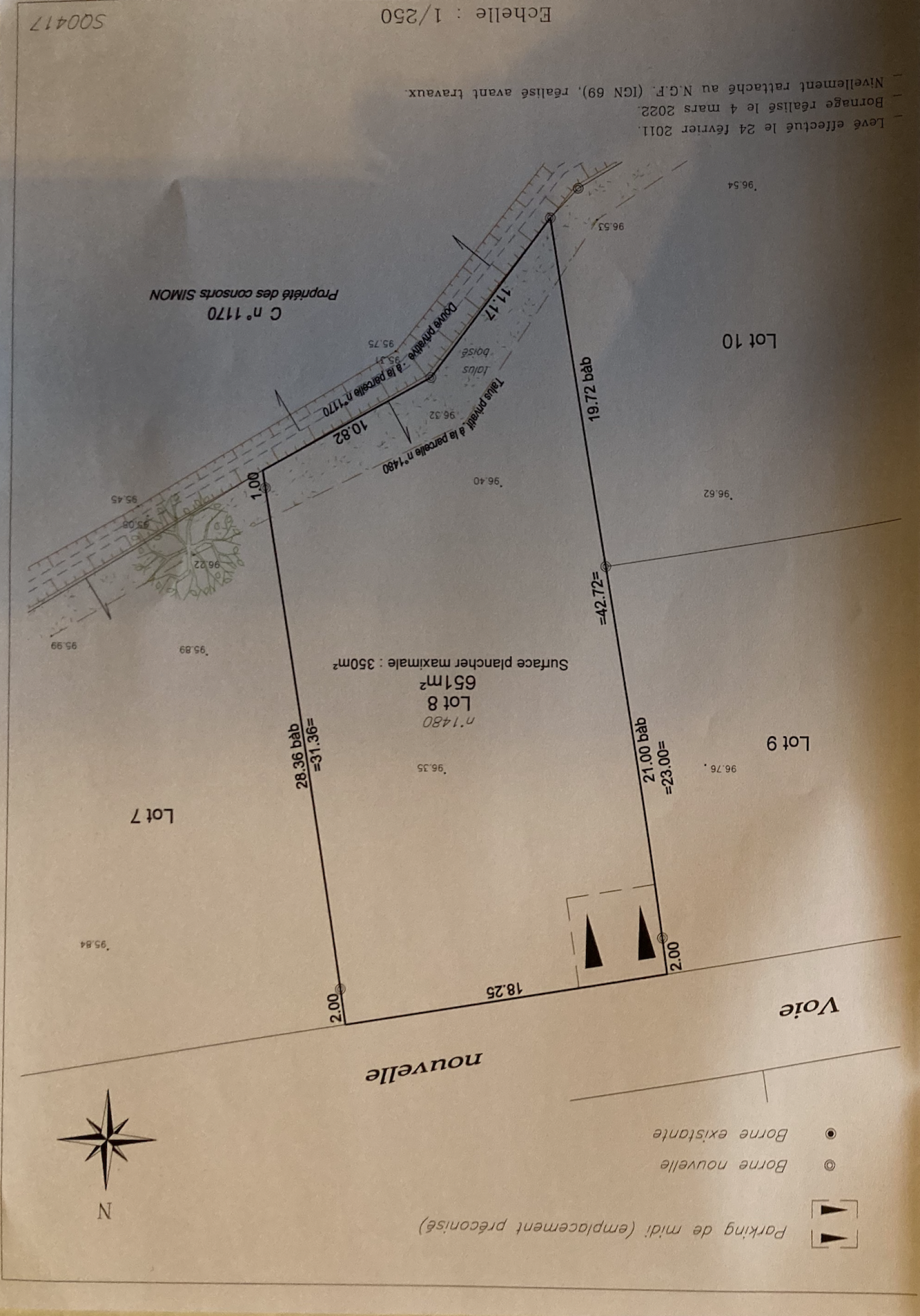
Terrain LANTIC (651m2)

réf : AVTE10000259
Le bien
en vidéo

à propos de
ce bien

TERRAINS À VENDRE sur LANTIC ! En lotissement, livrés bornés et viabilisés en eau, électricité et téléphonie.

Plusieurs lots encore disponibles : de 516 à 651m2.

Environnement calme et situation privilégiée à seulement 6km de Binic et de la plage.

Ce bien vous intéresse ou vous souhaitez avoir des informations complémentaires ? Contactez votre agence ARMOR CÔTÉ IMMOBILIER.

Prix du bien : 76 110 €

Prix du bien hors honoraires : 71 610 €

Honoraires TTC : 6,285 % soit 4 500 €

Honoraires à la charge de : Acquéreur

Descriptif

  • Code postal
    22410
  • surface terrain
    651 m²
  • Terrain constructible
    OUI
  • Surface constructible
    651

Financier

  • Prix de vente honoraires TTC inclus
    76 110 €
  • Prix de vente honoraires TTC exclus
    71 610 €
  • Honoraires TTC à la charge acquéreur
    6,28 %

Plus d'infos

  • Terrain Viabilisé
    OUI

Copropriété

  • Copropriété
    NON
  • Commerces et santé
  • Loisirs
  • Ecoles
  • Transports
  • Pratique
Nos
outils

Ce bien
m'intéresse